2026年02月21日時点
成約済み
| 価格 | ---万円 | ||
| 住所・最寄り駅 | 坂戸市泉町3丁目 東武東上線 北坂戸駅 徒歩17分 |
||
| 間取り/間取り詳細 | 2SLDK LDK20.9帖 / 洋室12.38帖 / 洋室5.44帖 / S4.88帖 / その他3.75帖 | 築年月 | 2024年3月 |
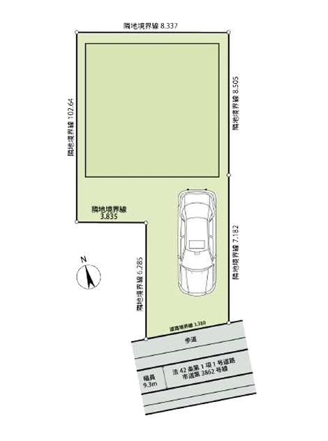
| 建物面積/土地面積 | 99.46㎡/111.8㎡ | 階数 | 地上2階 |
平坦地
前道6m以上
南道路
駐車場あり
サービスルーム(納戸)
リビングダイニング15畳以上
リビングに階段あり
対面キッチン
バス・トイレ別
洗濯機置き場
独立洗面台
バルコニー
クローゼットシューズボックス
フローリング
| 住所 | 坂戸市泉町3丁目 | ||
| 交通機関 | 東武東上線 北坂戸駅 徒歩17分 | ||
| 間取り/間取り詳細 | 2SLDK / LDK20.9帖 / 洋室12.38帖 / 洋室5.44帖 / S4.88帖 / その他3.75帖 | ||
| 建物面積 | 99.46㎡ | 土地面積 | 111.8㎡ |
| 計測方法 | |||
| 主要採光面 | 建物構造 | 木造 | |
| 都市計画 | 市街化区域 | ||
| 階数 | 地上2階 | 築年月 | 2024年3月 |
| 築年月備考 | |||
| 設備・条件 | 平坦地/前道6m以上/南道路/駐車場あり/サービスルーム(納戸)/リビングダイニング15畳以上/リビングに階段あり/対面キッチン/バス・トイレ別/洗濯機置き場/独立洗面台/バルコニー/クローゼットシューズボックス/フローリング/ | ||
| 水道 | 公営水道・公共下水 | ガス | 都市ガス |
| 土地権利 | 所有権のみ | セットバック | |
| 接道状況 | 一方 | ||
| 接道1 | 南側 公道 幅員9.3m | ||
| 地目 | 宅地 | 用途地域 | 第一種住居地域 |
| 建ぺい率 | 60% | 容積率 | 200% |
| 引渡 | 相談 | 地勢 | |
| 現況 | 空家 | 国土法届出 | |
| 取引形態 | 仲介 | 物件管理コード | 2026020505 |
| 備考・特記事項 | 図面と現況に相違がある場合、現況優先とします。
|
||
| 問い合わせ先 | 東上住宅 株式会社 | 電話番号 | 049-250-5555 |
| 建築確認番号 | |||
会員登録のメリット
①データ連携機能搭載
いつでも、どこでもPCやスマホ、タブレットなどで同じ状況で閲覧いただけます。
②物件比較機能
チェックした物件を様々な条件を並べて比較できますので絞り込みに便利です。
